• Immobile Commerciale

  • Immobile Commerciale
  • Immobile Commerciale
  • Immobile Commerciale
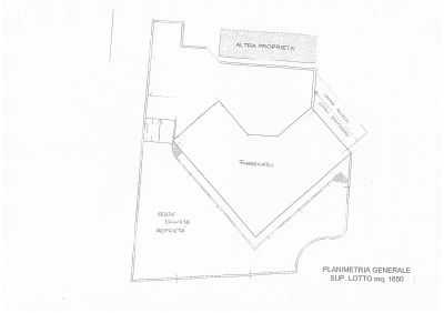
  • Maestoso edificio ad uso commerciale di 900 mq distribuito su due piani, seminterrato e pianoterra, rispettivamente di superficie pari a 440 mq e 460 mq. E’ situato in Lido di Camaiore a circa 500 m dal mare e 1200 m dall’ uscita autostradale, disponendo inoltre di un’ ottima visibilità, dovuta al fatto che perimetralmente è costituito per la maggior parte da pareti in vetro. Il piano seminterrato è accessibile da percorso carrabile, scala pedonale o un montacarichi con capacità di trasporto sufficiente per un automezzo. Al piano superiore da notare che una porzione del tetto è stata realizzata con una vetrage rendendo così gli spazi interni molto luminosi. Il lotto si esprime su una superficie totale di 1600 mq dando la possibilità di creare una buona quantità di posti auto privati, tenendo inoltre conto della massiccia presenza di posteggi pubblici gratuiti nelle vicinanze. Sull’ immobile grava un mutuo a tasso agevolato.
    • EUR
  • (Utilizza il forn contatti sotto)

Annunci simili

Dimensioni H min. 4m., H max 6, 5m., Tutta in alluminio anodizzato, altissima qualità,...

28000

EUR

Dimensioni 10x20m, H min. 3m., H max 6m., Tutta in alluminio anodizzato, altissima...

16000

EUR

HOTEL IN JESOLO con circa 40 camere, ristorante, , bar. Ristrutturato di recente.......

2000000

EUR

PIÙ VISITATI

VENDO X TROPPO LAVORO...

;

L'impianto ha un 3 anni di vita e un anno di funzione: quasi nuova. capacità produttiva...

;

Cediamo in gestione in affitto d'azienda il ns. centro fitness, situato nel basso...

;
Formular de contact
  • Tua Email:
    Tuo Nome:
    Messagio:

Commenti